Open Menu
Close Menu
Como ajudar
Descubra
Como funciona
Buscar
Minha conta
Faz uma vaquinha!
Saúde / Tratamentos
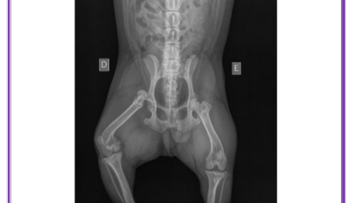
Cirurgia do Panqueca
ID: 3513176
Sobre
Atualizações
Quem ajudou
Vakinha Premiada
Selos recebidos
Vaquinha criada em:
23/02/2023
Tudo o que você precisa saber sobre o Vakinha
Denunciar essa vaquinha
AVISO LEGAL: O texto e as imagens incluídos nessa página são de única e exclusiva responsabilidade do criador da vaquinha e não representam a opinião ou endosso da plataforma Vakinha.
Arrecadado
R$ 3,50
de R$ 3.350,00
Dê o primeiro coração
Comprar
Apoiadores
2
Quero Ajudar
Compartilhar
GISLENI ANDRADE DE SOUZA
Ativo(a) desde fevereiro/2023
Outras histórias também precisam de você!