
Oi, gente. Meu nome é Bianca.Quem me conhece sabe que tenho duas gatinhas muito amadas — e uma delas, a Revoada, passou por um momento muito difícil.
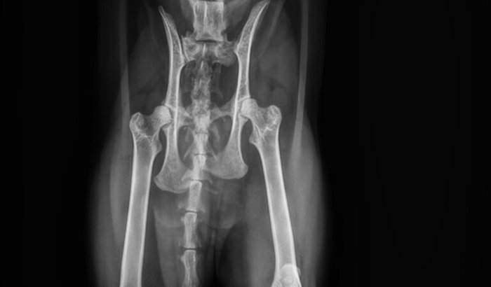
Na madrugada de domingo, a Revoada sofreu um trauma sério. Não sabemos exatamente o que aconteceu — se foi atropelamento, queda ou outro acidente — mas o impacto fraturou o osso coxal. Ela precisa de uma cirurgia urgente, com anestesia e exames, e o valor total gira em torno de R$ 4.000.
Desde o ocorrido, ela não consegue fazer cocô, o que agrava ainda mais o quadro e aumenta o risco para a saúde dela.
A Revoada é muito amada por mim e pelos meus filhos. Ela faz parte da nossa família, do nosso dia a dia, e estamos desesperados para vê-la saudável novamente.
Por isso, venho pedir ajuda de quem puder contribuir — qualquer valor já faz diferença para que possamos realizar a cirurgia e dar a ela a chance de se recuperar.
De coração, agradeço a todos que puderem compartilhar, ajudar ou simplesmente enviar boas energias. 💛🐾
