
O Amendoim é um Shih-tzu de 3 anos que viveu uma história muito difícil. Ele foi resgatado após um atropelamento e apresentava sinais de maus-tratos, mas mesmo assim continua lutando e demonstrando um enorme desejo de viver.
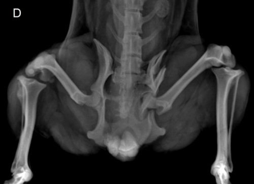
A clínica onde o Amendoim se encontra deu a ele uma nova chance e colocou o pequeno para adoção. Eu me ofereci para ajuda-lo e dar a vida que ele sempre mereceu. Porém, ele sofreu uma fratura bilateral na pelve com deslocamento e precisa de cirurgia para voltar a andar sem dor.
O orçamento é de +R$ 4.500 fora o pós operatório, um mês de fisioterapia e medicamentos, valor que não consigo arcar sozinha.
Estou criando essa vaquinha para que o Amendoim possa finalmente ter qualidade de vida.
Vou postar laudos, exames, fotos e atualizações da recuperação.
Obrigada por ajudar esse pequeno guerreiro a recomeçar ❤️🐶
