
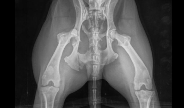
Resgatei esse cachorrinho de rua que foi atropelado hoje 04/08/2022 na beira-mar, precisamos de ajuda para o curtos veterinário e pós. ele está como muita escoriações, fêmur quebrado e bacia não consegue encaixar com o osso do fêmur, será necessária cirurgia. Por favor nos ajude!