
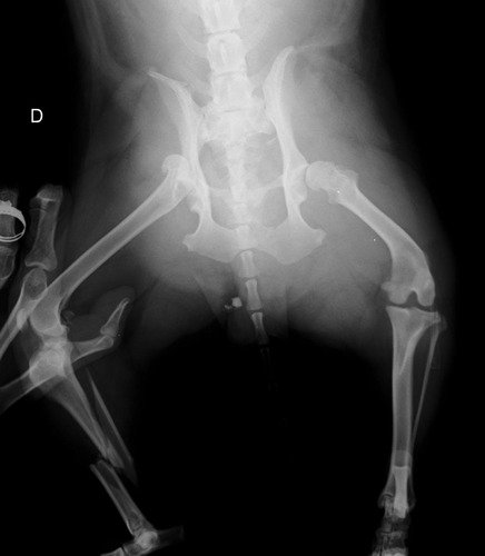
Me chamo João Pedro e sou tutor da cadelinha Filomena. Ela foi atropelada enquanto passeava no dia 11/09 e o responsável fugiu do local. Ela está internada no hospital veterinário e passará por duas cirurgias pois teve fratura de tíbia e fêmur. O total de custo está em torno de R$ 5 mil reais. Será realizado uma rifa com os participantes da vakinha no valor de R$ 300 reais. A cada ajuda será disponibilizado um número para o sorteio, fique a vontade de quanto quiser ajudar.