


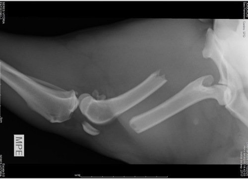
No dia 29/09/2025, nossa Cadela de nome Kina, Fugiu de casa e voltou no dia Seguinte machuca pelo jeito, ela foi atingida por algum veículo enquanto Corria algo que ela ama fazer. O resultado foi uma fratura no fêmur, confirmada no raio-X.
Conseguimos cobrir a Consulta, raio-X e Medicamentos mas a cirurgia e todo o tratamento vão custar R$ 5.586,25, valor que não conseguimos arcar neste momento
Estamos pedindo a ajuda de quem puder contribuir para que a Kina tenha uma recuperação segura e sem sofrimento. Cada doação faz a diferença.
Por gratidão, quem contribuir concorrerá a um relógio inteligente em sorteio.