
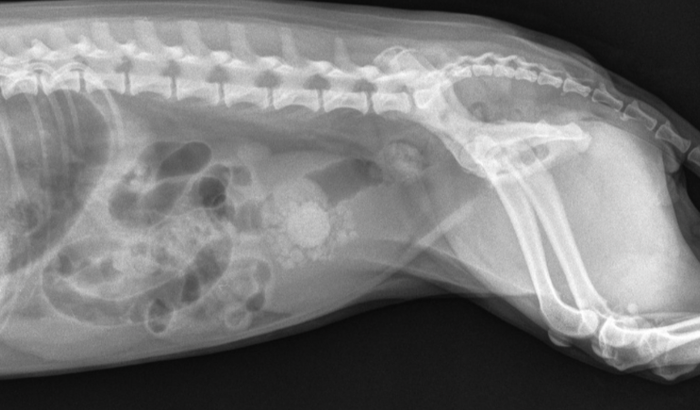
Olá, me chamo Diana, venho pedir a ajuda de vocês, minha cachorrinha estava com pedra na bexiga, foi tratada no começo do ano, seguimos todas as orientações do veterinário, raçao, agua e tudo mais, porem ela voltou a ter um incômodo, quando vimos, ela novamente esta com essas pedras, como foi muito recente, infelizmente ficou apertados para conseguirmos pagar a cirurgia. ela é muito bem tratada, porem é teimosa para beber agua, estamos fazendo o passível para ela nao sofrer mais, conto muito com a ajuda de vocês !!
ajudem minha Jhully ♡♡